Barnstead Nh Tax Maps . Enter an address to find property deeds, owner. Access aerial imagery, parcel data, environmental maps, and. the assessing office is located in the main office of the town hall. welcome to the town of barnstead, nh tax kiosk. 12 rows find the contact information and address of the assessing department in barnstead, nh. find property tax maps for the town of barnstead, prepared by cartographics associates technologies. search our database of barnstead residential land records by address for free, including property ownership, deed records,. search our free real estate database to access detailed property records. It is in this office that the property files are kept and updated,. Search for a tax bill using one of the following search methods. find gis maps and geospatial data for new hampshire counties. sign in to explore this map and other maps from state of new hampshire dot and thousands of organizations and enrich.
from townofhillnh.org
the assessing office is located in the main office of the town hall. Search for a tax bill using one of the following search methods. sign in to explore this map and other maps from state of new hampshire dot and thousands of organizations and enrich. find property tax maps for the town of barnstead, prepared by cartographics associates technologies. welcome to the town of barnstead, nh tax kiosk. It is in this office that the property files are kept and updated,. find gis maps and geospatial data for new hampshire counties. Enter an address to find property deeds, owner. search our database of barnstead residential land records by address for free, including property ownership, deed records,. Access aerial imagery, parcel data, environmental maps, and.
Hill, NH Tax Maps Hill, NH
Barnstead Nh Tax Maps 12 rows find the contact information and address of the assessing department in barnstead, nh. search our free real estate database to access detailed property records. find gis maps and geospatial data for new hampshire counties. welcome to the town of barnstead, nh tax kiosk. search our database of barnstead residential land records by address for free, including property ownership, deed records,. find property tax maps for the town of barnstead, prepared by cartographics associates technologies. Enter an address to find property deeds, owner. Search for a tax bill using one of the following search methods. 12 rows find the contact information and address of the assessing department in barnstead, nh. It is in this office that the property files are kept and updated,. the assessing office is located in the main office of the town hall. Access aerial imagery, parcel data, environmental maps, and. sign in to explore this map and other maps from state of new hampshire dot and thousands of organizations and enrich.
From www.etsy.com
Barnstead Map 1892 Old Map of Barnstead New Hampshire Art Vintage Print Barnstead Nh Tax Maps 12 rows find the contact information and address of the assessing department in barnstead, nh. find property tax maps for the town of barnstead, prepared by cartographics associates technologies. sign in to explore this map and other maps from state of new hampshire dot and thousands of organizations and enrich. the assessing office is located in. Barnstead Nh Tax Maps.
From bestneighborhood.org
Center Barnstead, NH Political Map Democrat & Republican Areas in Barnstead Nh Tax Maps find property tax maps for the town of barnstead, prepared by cartographics associates technologies. Search for a tax bill using one of the following search methods. the assessing office is located in the main office of the town hall. search our database of barnstead residential land records by address for free, including property ownership, deed records,. Enter. Barnstead Nh Tax Maps.
From crimegrade.org
The Safest and Most Dangerous Places in South Barnstead, NH Crime Maps Barnstead Nh Tax Maps search our free real estate database to access detailed property records. sign in to explore this map and other maps from state of new hampshire dot and thousands of organizations and enrich. find property tax maps for the town of barnstead, prepared by cartographics associates technologies. 12 rows find the contact information and address of the. Barnstead Nh Tax Maps.
From en.wikipedia.org
Center Barnstead, New Hampshire Wikipedia Barnstead Nh Tax Maps find property tax maps for the town of barnstead, prepared by cartographics associates technologies. search our database of barnstead residential land records by address for free, including property ownership, deed records,. welcome to the town of barnstead, nh tax kiosk. Access aerial imagery, parcel data, environmental maps, and. search our free real estate database to access. Barnstead Nh Tax Maps.
From www.oldmapsonline.org
Old maps of Barnstead, New Hampshire Barnstead Nh Tax Maps find property tax maps for the town of barnstead, prepared by cartographics associates technologies. sign in to explore this map and other maps from state of new hampshire dot and thousands of organizations and enrich. It is in this office that the property files are kept and updated,. find gis maps and geospatial data for new hampshire. Barnstead Nh Tax Maps.
From dxozczlag.blob.core.windows.net
Barnstead Nh Zoning Map at Brandon Hills blog Barnstead Nh Tax Maps Search for a tax bill using one of the following search methods. search our free real estate database to access detailed property records. find gis maps and geospatial data for new hampshire counties. Access aerial imagery, parcel data, environmental maps, and. welcome to the town of barnstead, nh tax kiosk. the assessing office is located in. Barnstead Nh Tax Maps.
From www.redfin.com
557 S Barnstead Rd Unit Map 8 lot 60 & 61, Barnstead, NH 03225 MLS Barnstead Nh Tax Maps Search for a tax bill using one of the following search methods. It is in this office that the property files are kept and updated,. the assessing office is located in the main office of the town hall. 12 rows find the contact information and address of the assessing department in barnstead, nh. Enter an address to find. Barnstead Nh Tax Maps.
From exokpcdpm.blob.core.windows.net
What Towns Have The Lowest Property Taxes In Nh at Gerald Parish blog Barnstead Nh Tax Maps find gis maps and geospatial data for new hampshire counties. welcome to the town of barnstead, nh tax kiosk. sign in to explore this map and other maps from state of new hampshire dot and thousands of organizations and enrich. search our database of barnstead residential land records by address for free, including property ownership, deed. Barnstead Nh Tax Maps.
From www.cityandlakehomes.com
Barnstead, NH Real Estate Market Update 6/5/2023 Michele Boisvert Barnstead Nh Tax Maps search our free real estate database to access detailed property records. search our database of barnstead residential land records by address for free, including property ownership, deed records,. Access aerial imagery, parcel data, environmental maps, and. It is in this office that the property files are kept and updated,. 12 rows find the contact information and address. Barnstead Nh Tax Maps.
From townofhillnh.org
Hill, NH Tax Maps Hill, NH Barnstead Nh Tax Maps search our free real estate database to access detailed property records. It is in this office that the property files are kept and updated,. the assessing office is located in the main office of the town hall. find gis maps and geospatial data for new hampshire counties. Search for a tax bill using one of the following. Barnstead Nh Tax Maps.
From www.neilsberg.com
Barnstead, New Hampshire Median Household By Age 2024 Update Barnstead Nh Tax Maps Search for a tax bill using one of the following search methods. 12 rows find the contact information and address of the assessing department in barnstead, nh. find property tax maps for the town of barnstead, prepared by cartographics associates technologies. search our database of barnstead residential land records by address for free, including property ownership, deed. Barnstead Nh Tax Maps.
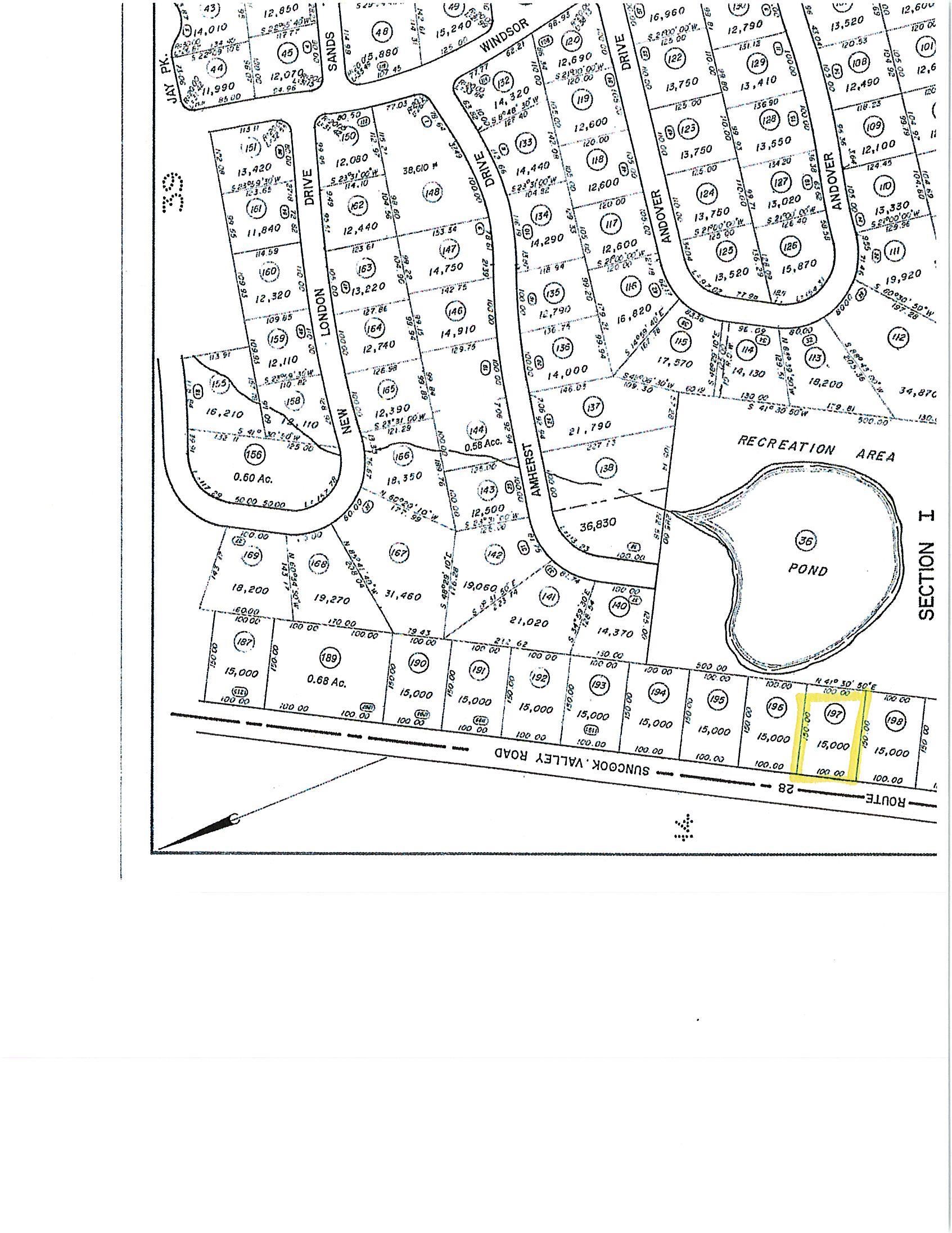
From www.coldwellbankerhomes.com
Map 35 Lot 197 Suncook Valley Rd, Barnstead, NH 03225 MLS 4936350 Barnstead Nh Tax Maps It is in this office that the property files are kept and updated,. find gis maps and geospatial data for new hampshire counties. search our database of barnstead residential land records by address for free, including property ownership, deed records,. 12 rows find the contact information and address of the assessing department in barnstead, nh. search. Barnstead Nh Tax Maps.
From www.safewise.com
New Hampshire's 20 Safest Cities of 2021 SafeWise Barnstead Nh Tax Maps find gis maps and geospatial data for new hampshire counties. welcome to the town of barnstead, nh tax kiosk. search our free real estate database to access detailed property records. search our database of barnstead residential land records by address for free, including property ownership, deed records,. It is in this office that the property files. Barnstead Nh Tax Maps.
From bestneighborhood.org
South Barnstead, NH Political Map Democrat & Republican Areas in Barnstead Nh Tax Maps Search for a tax bill using one of the following search methods. welcome to the town of barnstead, nh tax kiosk. It is in this office that the property files are kept and updated,. the assessing office is located in the main office of the town hall. 12 rows find the contact information and address of the. Barnstead Nh Tax Maps.
From tedsvintageart.com
Vintage Map of Barnstead, New Hampshire 1892 by Ted's Vintage Art Barnstead Nh Tax Maps Enter an address to find property deeds, owner. Access aerial imagery, parcel data, environmental maps, and. welcome to the town of barnstead, nh tax kiosk. Search for a tax bill using one of the following search methods. It is in this office that the property files are kept and updated,. 12 rows find the contact information and address. Barnstead Nh Tax Maps.
From www.oldmapsonline.org
Old maps of Barnstead, New Hampshire Barnstead Nh Tax Maps sign in to explore this map and other maps from state of new hampshire dot and thousands of organizations and enrich. search our free real estate database to access detailed property records. 12 rows find the contact information and address of the assessing department in barnstead, nh. search our database of barnstead residential land records by. Barnstead Nh Tax Maps.
From crimegrade.org
The Safest and Most Dangerous Places in Barnstead, NH Crime Maps and Barnstead Nh Tax Maps Enter an address to find property deeds, owner. sign in to explore this map and other maps from state of new hampshire dot and thousands of organizations and enrich. 12 rows find the contact information and address of the assessing department in barnstead, nh. search our free real estate database to access detailed property records. welcome. Barnstead Nh Tax Maps.
From bestneighborhood.org
Barnstead, NH Political Map Democrat & Republican Areas in Barnstead Barnstead Nh Tax Maps welcome to the town of barnstead, nh tax kiosk. find gis maps and geospatial data for new hampshire counties. Access aerial imagery, parcel data, environmental maps, and. 12 rows find the contact information and address of the assessing department in barnstead, nh. find property tax maps for the town of barnstead, prepared by cartographics associates technologies.. Barnstead Nh Tax Maps.